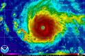
If you want to warn about global warming, this photo might do it
[ by Charles Cameron — the elements speak Power to power]
.
Images speak louder than words: the right images cut to the heart. Billions of dollars extinguished in freak storms also speak.

It may be that some of those who have been denying global warming are about ready to — reluctantly — take it sweriously as a matter for stragetic gaming.
Realism from Miami’s mayor:
As Hurricane Irma forces millions to evacuate, Mayor Tomás Regalado says: “If this isn’t climate change, I don’t know what is.”
Oh, and Rush Limbaugh
Rush Limbaugh indicates he’s evacuating Palm Beach days after suggesting Hurricane Irma is fake news:
Image:

Oh no, that’s not Diwali, the Hindu Festival of Lights, nor is it the apocalypse, just a foretaste. It’s a photo of California burning.
Mother Nature speaks in water, wind and fire. First responders can respond, up to a point. Funding is crucial.
Hey. Job would understand:
At this also my heart trembleth, and is moved out of his place. Hear attentively the noise of his voice, and the sound that goeth out of his mouth. He directeth it under the whole heaven, and his lightning unto the ends of the earth. After it a voice roareth: he thundereth with the voice of his excellency; and he will not stay them when his voice is heard. God thundereth marvellously with his voice; great things doeth he, which we cannot comprehend. For he saith to the snow, Be thou on the earth; likewise to the small rain, and to the great rain of his strength.
Humbled yet? Is this the time for a few minds to change?
Hurricanes don’t lie. The earth is now under attack from water, wind and fire.
To see this in the microcosm, take a look at Rohingya, by water and fire — Upshortly
Oh, ah, dark hell by Hieronymous Bosch
:
That’s Judgment Day— how many signs — accelerando & crescendo — you wanna see?
Thank you. Out.
morgan:
September 22nd, 2017 at 12:37 pm
Living in the DC area, I’m used to long periods of hot, humid weather. However, this summer there was only a couple of weeks–not one after the other–that seemed a normal summer. It was actually quite pleasant most of the time. And, by the way, sbow just arrived a month early in the Sierra mountains of California as well as in Lake Tahoe, Nevada–doesn’t sound like global warming to me.